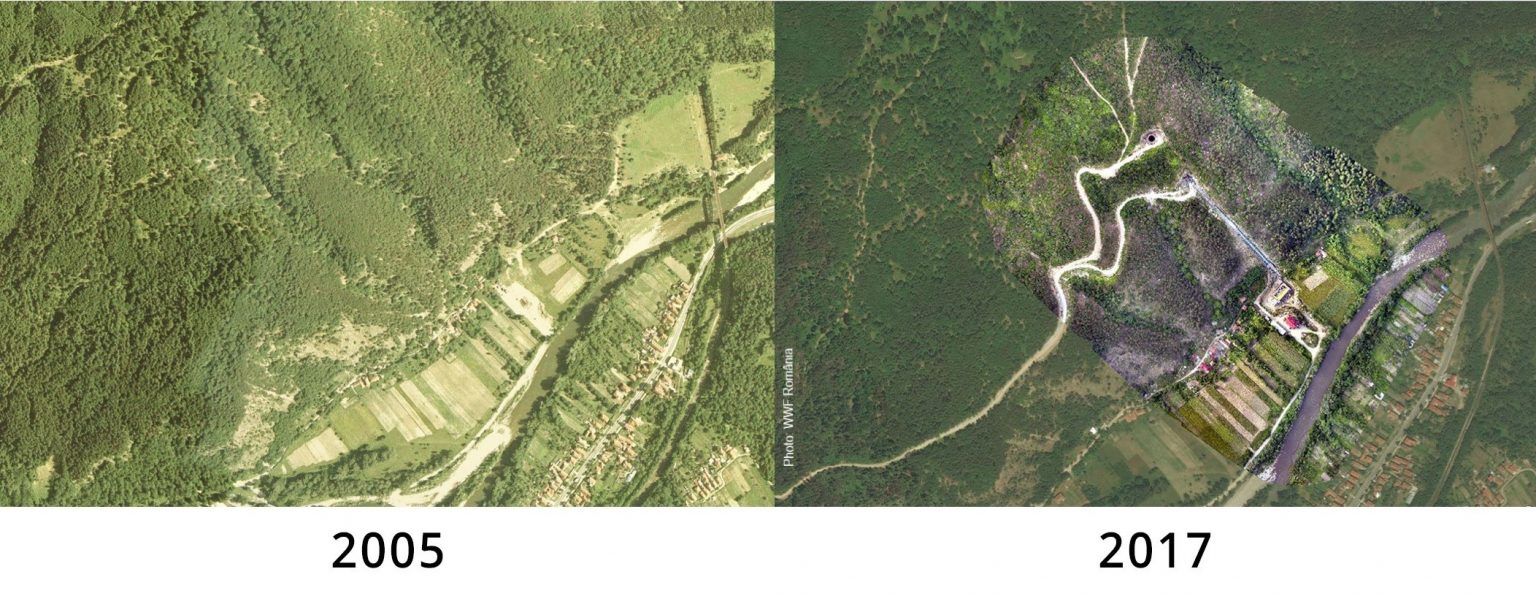
Înalta Curte de Casație și Justiție a decis miercuri, 16 februarie, rejudecarea cazului pentru anularea deciziei etapei de încadrare pentru proiectul hidro Bumbești-Livezeni.
Asociațiile de mediu Bankwatch România și AgentGreen au arătat instanței că etapa de încadrare, o procedură de mediu de bază pentru aprobarea proiectelor, nu a fost emisă legal. În decembrie 2017, pentru același proiect, Curtea de Apel a anulat autorizațiile de construire având în vedere lipsa…
Sursa articol si foto: gorjeanul.ro
Cititi tot articolul








