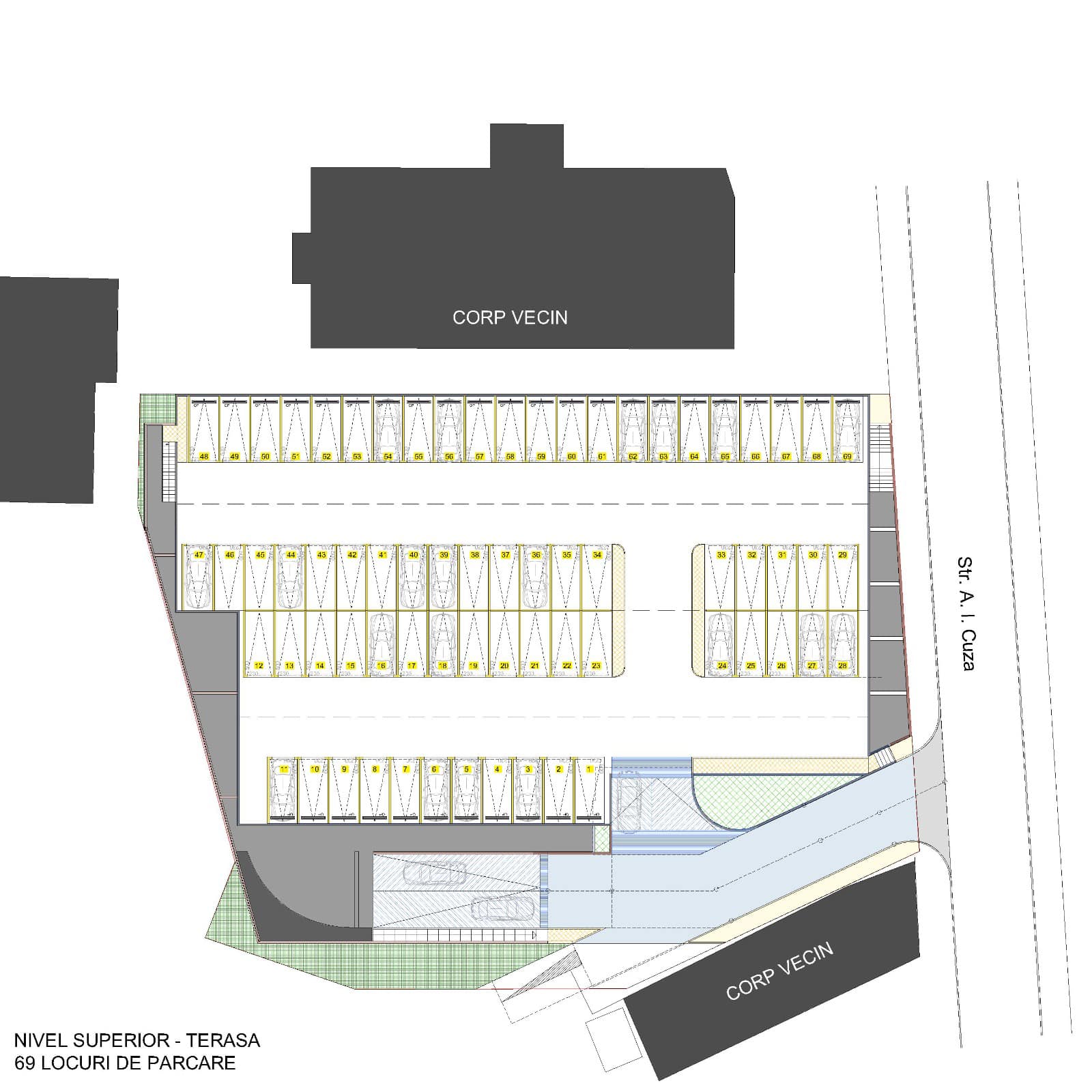
A fost emisă autorizația de construire pentru prima parcare etajată de la Târgu Jiu, anunță, miercuri, viceprimarul Bogdan Bejinaru. Va fi realizată vizavi de sediul Complexului Energetic Oltenia.
”Aceasta se amenajează pe strada A. I. Cuza și este o investiție de la bugetul local. 130 de locuri va avea noua parcare ce se construiește pe două nivele. Vorbim de o zonă aglomerată, cu obiective care atrag un număr foarte mare de cetățeni, printre care Direcția Impozite…
Sursa articol si foto: radioinfinit.ro
Cititi tot articolul








